조황관리HOME / 조황관리 / 상세정보

제목 : 진도제이제이 11월26일 왕우럭,왕열기 출조 조황입니다
등록일 : 2025-11-27
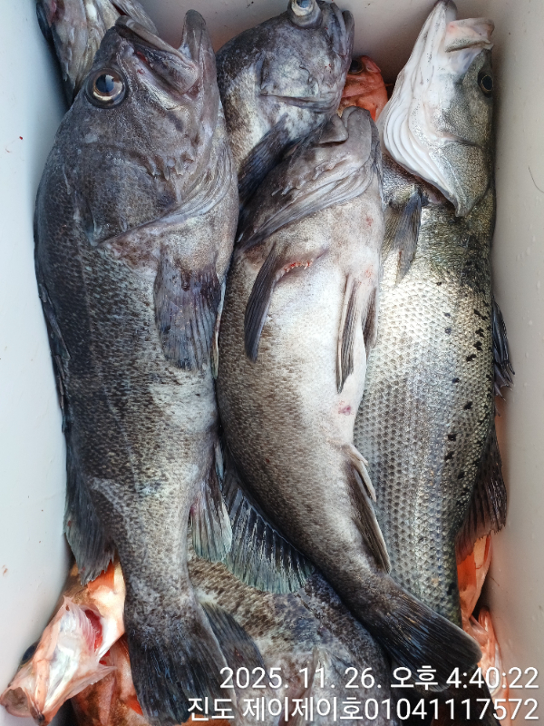
진도제이제이 11월 26일
우럭 첫 출조 조황입니다 
갈치 마무리후 달려본 우럭.열기
입니다 주의보가 늦게 해제 되어
출항시간이 늦어짐에 다급한
맘으로 열심히 달려 포인트 도착
여기저기 헤메이면서 이삭 줍기
하듯 올라오는 우럭이 
반가우면서도 얄밉고 ㅠㅠㅠ
점심식사후 물때 바뀌면서
신발짝열기에 4자,~5자,~6자 우럭에
농어에 열심히 올렸습니다
늦게까지 한다고 했는데
아쉬움이 많이 남았습니다 
오후 중반부터는 물색이 탁해져서
괴기들은 올라오지도 않고
미련만 남겨두고 입항 했습니다 
개인 조과차이가 조금은 있습니다 
눈으로나마 힐링포토 하세요~~
다음 출조는 12월 6일 대방어
부시리,농어 빅게임 나갑니다
당분간 선장님 개인사정으로
12월5일까지는 잠시 휴항 입니다
6일부터 출조 같이하실 조사님들 연락주세요
010-4111-7572 
추운날씨 감기 조심하시고 
즐거운 시간 보내세요

1000042411.jpg


1000042399.jpg


1000042400.jpg


1000042401.jpg


1000042407.jpg


1000042415.jpg


1000042403.jpg


1000042397.jpg


1000042416.jpg


1000042406.jpg


1000042410.jpg


1000042414.jpg


1000042413.jpg


1000042389.jpg


1000042391.jpg


1000042394.jpg

 
1000042391.jpg


1000042392.jpg


1000042395.jpg


1000042394.jpg
 



*** 진도 제이제이 예약 안내 ***


예약문의 : 010-4111-7572

예약문의 : 010-5134-7572
오시는길 : 전남 진도군 임회면 서망항길 53

모바일.jpg

Top