조황관리HOME / 조황관리 / 상세정보

제목 : 진도제이제이 11월30일 우럭 출조 조황입니다
등록일 : 2025-11-30
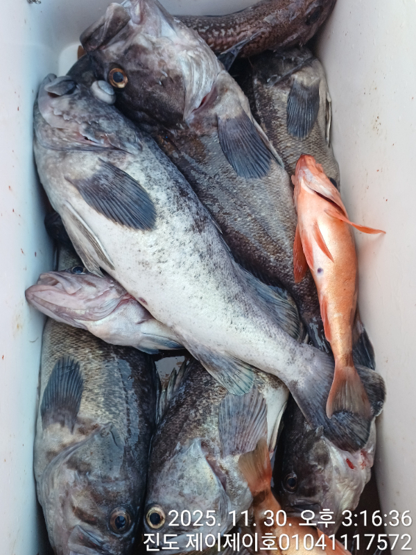
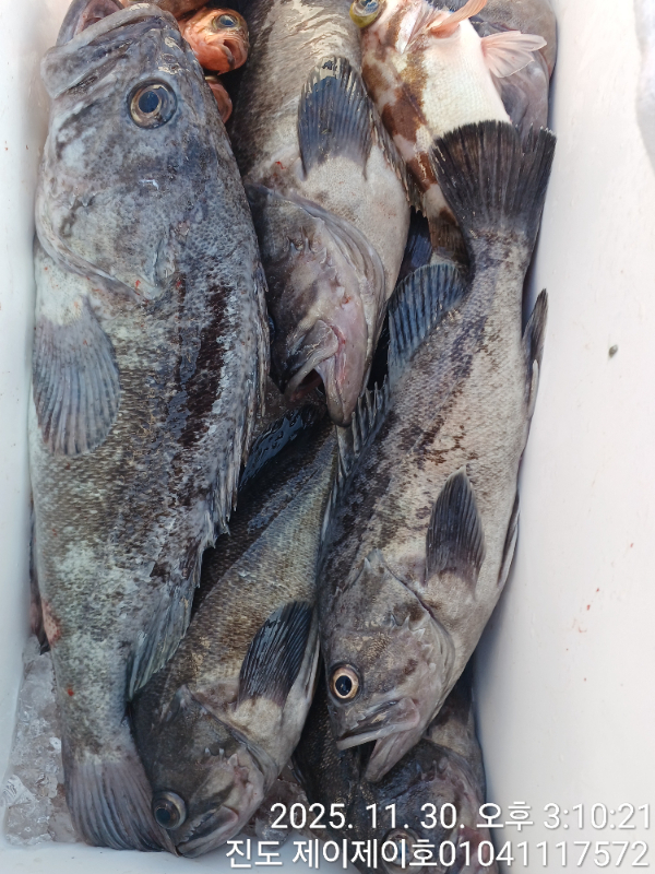
진도제이제이 11월30일 우럭
출조 조황입니다 
오늘은 경기권에서 오신
오리엔탈 출조 조사님들 
모시고 먼 바다로 달려보았습니다 
오전 물때에 올라오는 우럭들
이면 쿨러가득 채우고 
남았을텐데 오후에는 따문따문 
올라와 쿨러가득 도전이 아쉽웠습니다 
열심히 즐거운 낚시을 해주신
조사님들 덕분에 행복한
출조 였습니다 
다음에는 좀 더 분발해서
쿨러가득 채우도록 하겠습니다 
요즘 감기가 너무 심하네요 ㅠ
조사님들 건강 단디 챙기세요 
오늘도 진도제이제이와
같이 해주셔서 감사드립니다 
다음 우럭 출조는 12월10일
부터 나갑니다
현재 자리여유 많이 남았습니다 
예약은 전화주세요 010-4111-7572 
11월의 마지막날 행복한
시간 보내시고 12월에
뵙겠습니다

1000042660.jpg


1000042641.jpg


1000042668.jpg


1000042664.jpg


1000042665.jpg


1000042671.jpg


1000042635.jpg


1000042647.jpg


1000042625.jpg


1000042658.jpg


1000042693.jpg


1000042691.jpg


1000042688.jpg


1000042689.jpg


1000042687.jpg


1000042686.jpg


1000042685.jpg


1000042684.jpg


1000042683.jpg

 



*** 진도 제이제이 예약 안내 ***


예약문의 : 010-4111-7572

예약문의 : 010-5134-7572
오시는길 : 전남 진도군 임회면 서망항길 53

모바일.jpg

Top