조황관리HOME / 조황관리 / 상세정보

제목 : 진도제이제이 2월 14일 우럭 쿨러가득 도전 조황입니다
등록일 : 2026-02-14
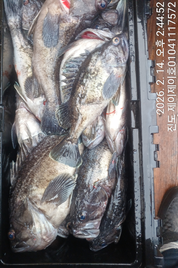
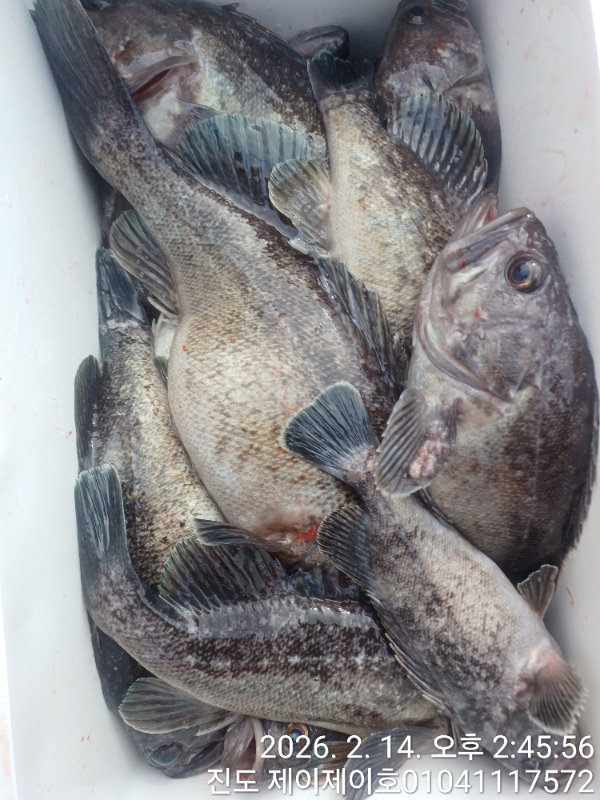
진도제이제이 2월14일 우럭
조황입니다 
간만에 우럭 손맛 보았습니다
쌍걸이에 쓰리걸이~~~
명절전 우럭으로 마무리 
해주신 대전피싱 조사님들
수고많으셨어요 
좀 더 나왔으면 더 좋았을건데
오늘도 바다가 내어주는 만큼만
쿨러에 담았습니다 
아쉬움이라면 우럭 대로 일명 
바닥 읽어 올라가야 하는데
열기대로는 거친 바닥 올라타는게
한계가 있습니다
다음 출조 오실땐 우럭.열기대
같이 챙겨오세요~~~
명절 지나고 다음 물때에는
오늘에 못다한 아쉬움을
더 해 우럭으로 쿨러가득 
채우도록 하겠습니다 
오늘도 좋은 조황 남겨주신
대전피싱 조사님들께 감사드리며 
즐거운 설 명절 보내세요~
새해 복많이 받으세요 (꾸우뻑)

1000046276.jpg


1000046278.jpg


1000046279.jpg


1000046254.jpg


1000046234.jpg


1000046252.jpg


1000046246.jpg


1000046232.jpg


1000046253.jpg


1000046248.jpg


1000046262.jpg


1000046267.jpg


1000046268.jpg


1000046264.jpg


1000046263.jpg


1000046266.jpg


1000046269.jpg


1000046272.jpg


1000046270.jpg


1000046274.jpg

 



*** 진도 제이제이 예약 안내 ***


예약문의 : 010-4111-7572

예약문의 : 010-5134-7572
오시는길 : 전남 진도군 임회면 서망항길 53

모바일.jpg

Top