조황관리HOME / 조황관리 / 상세정보

제목 : 진도제이제이 3월28일 돼지우럭에 신발짝 왕열기 조황입니다
등록일 : 2026-03-28
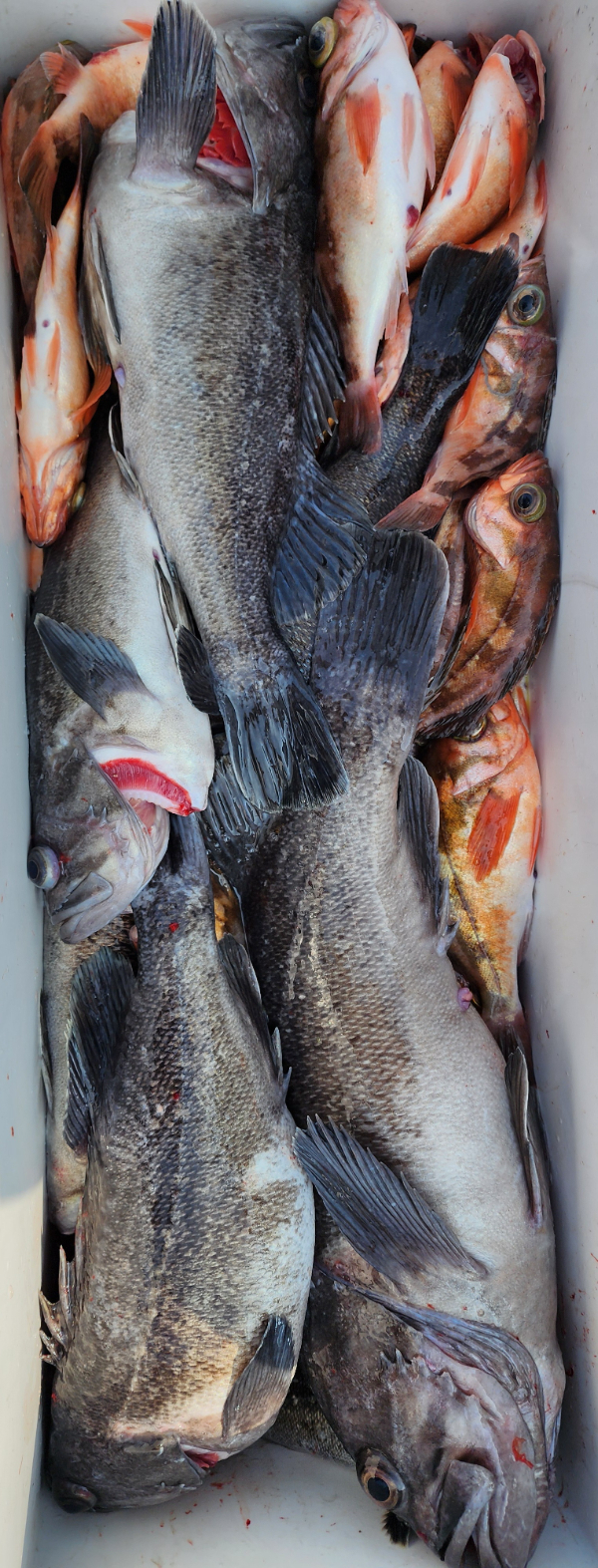
진도제이제이 3월28일 돼지우럭에
신발짝 왕열기 조황입니다 
이 번 출조는 대대전피싱클과
옥천 김서방 출조점 조사님들 모시고
신나게 달리고 철수중 입니다 
돼지우럭에 묵직한 열기까지
올라오는 손 맛을 제대로
보았네요 
같이 해주신 조사님들이 
너무 좋으셔서 일일 사무장인
김여사를 마니 도와 주셔서
정말 감사합니다 
개인 조과차이는 조금 있습니다 
철수전까지  열공낚시 해주셔서
몇몇 조사님들은 돼지우럭
올리는 손 맛을 제대로 보셨습니다ㅎ~~~ 
돼지우럭 6자에 왕열기 엄청
큰 걸로다 오늘 제대로 
한 건 했습니다 
즐겁게 낚시 해주신
조사님들 수고많으셨어요 
출조 예약은 전화주세요 
010-4111-7572

1000048345.jpg


1000048355.jpg


1000048344.jpg


1000048321.jpg


1000048316.jpg


1000048358.jpg


1000048307.jpg


1000048306.jpg


1000048279.jpg


1000048274.jpg


1000048349.jpg


1000048350.jpg


1000048340.jpg


1000048337.jpg


1000048333.jpg


1000048330.jpg


1000048329.jpg


1000048334.jpg


1000048323.jpg


1000048269.jpg


 



*** 진도 제이제이 예약 안내 ***


예약문의 : 010-4111-7572

예약문의 : 010-5134-7572
오시는길 : 전남 진도군 임회면 서망항길 53

모바일.jpg

Top